naturo
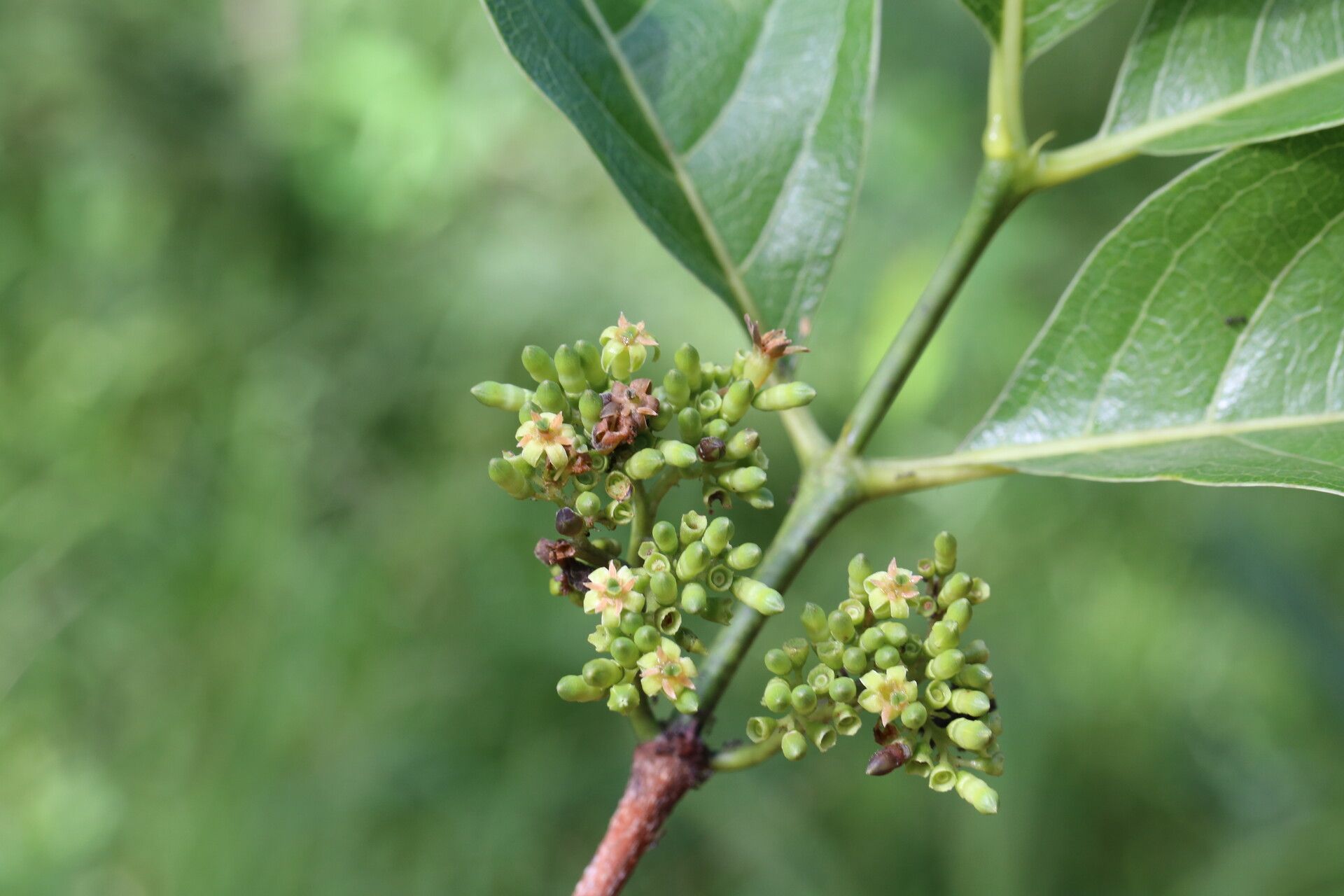
Multidentia crassa (Hiern) Bridson & Verdc. Malplej zorgigaLoĝantara tendenco: Stabila
Malplej zorgiga
Loĝantara tendenco: StabilaMapo
Fenologio
Altecoj
Trends
Ĉefaj kontribuantoj / Ĉefaj identigantoj
External resources
- Global Biodiversity Information Facility
- https://www.gbif.org/species/2893813
- Pl@ntNet-datumoj ĉe gbif.orghttps://www.gbif.org/occurrence/search?publishing_org=da86174a-a605-43a4-a5e8-53d484152cd3&taxon_key=2893813
- Elŝutu Pl@ntNet-datumojn ĉe gbif.orghttps://www.gbif.org/occurrence/download?publishing_org=da86174a-a605-43a4-a5e8-53d484152cd3&taxon_key=2893813
- Pl@ntNet-datumoj ĉe gbif.org APIhttps://api.gbif.org/occurrence/search?publishing_org=da86174a-a605-43a4-a5e8-53d484152cd3&taxon_key=2893813
- IUCN Red List of Threatened Specieshttps://apiv3.iucnredlist.org/api/v3/taxonredirect/146219191
- Plant Of the World Onlinehttps://powo.science.kew.org/taxon/urn:lsid:ipni.org:names:944189-1
- International Plant Names Indexhttps://www.ipni.org/n/944189-1
- European and Mediterranean Plant Protection Organizationhttps://gd.eppo.int/taxon/CBJCR
- Le wiki sur les plantes utiles et les usages des planteshttps://plantuse.plantnet.org/en/Multidentia_crassahttps://plantuse.plantnet.org/en/Multidentia_crassa_(PROTA)
- Wikipediahttps://eo.wikipedia.org/wiki/Multidentia_crassa (Esperanto) https://en.wikipedia.org/wiki/Multidentia_crassa (English)
