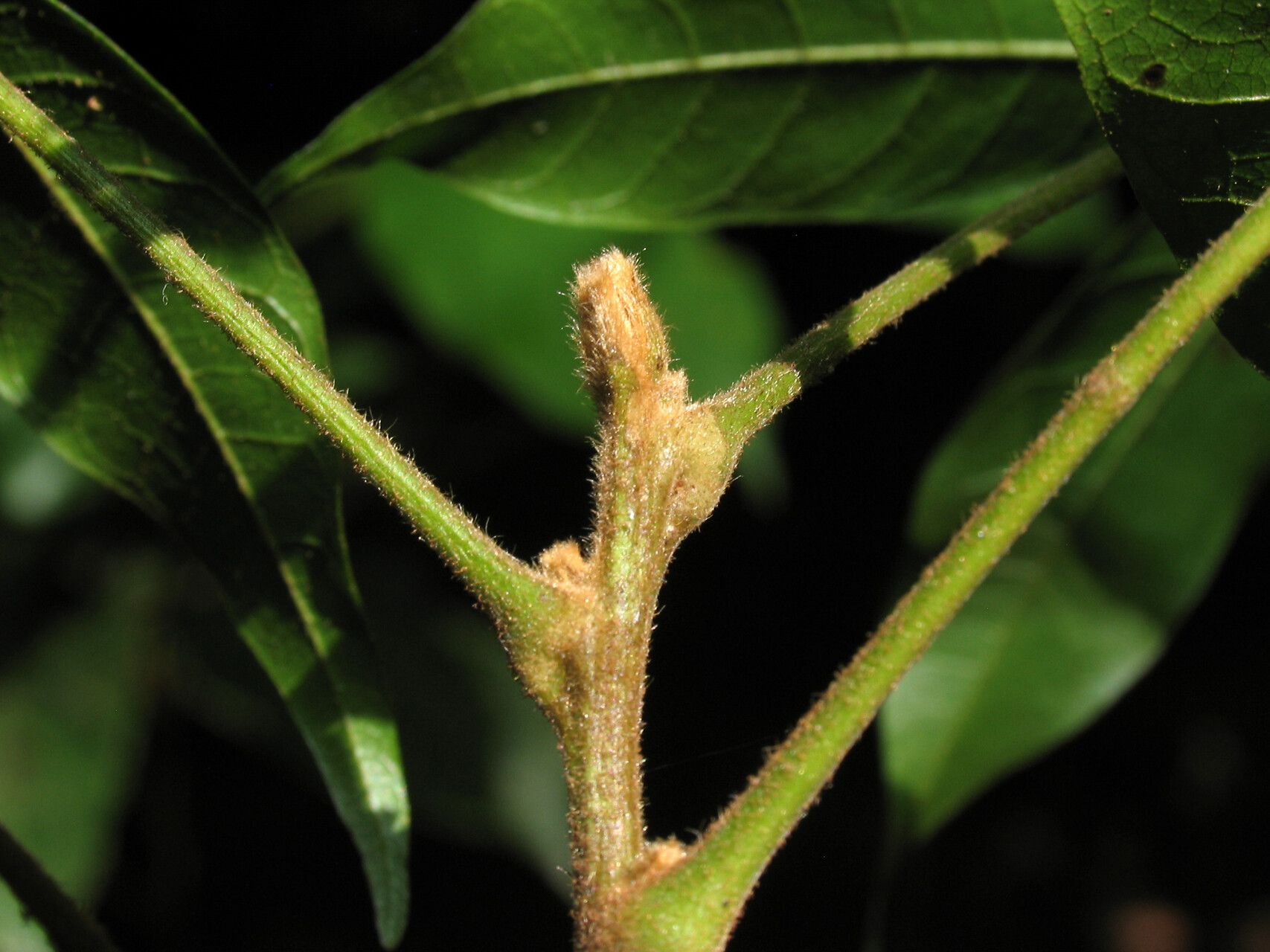
Espezieak
Talisia hemidasya Radlk. Kezka txikiaBiztanleriaren joera: Egonkorra
Kezka txikia
Biztanleriaren joera: EgonkorraMapa
Fenologia
Altitudeak
Trends
Laguntzaile nagusiak / Identifikatzaile nagusiak
External resources
- Global Biodiversity Information Facility
- https://www.gbif.org/species/3788269
- Pl@ntNet-en datuak gbif.org-enhttps://www.gbif.org/occurrence/search?publishing_org=da86174a-a605-43a4-a5e8-53d484152cd3&taxon_key=3788269
- Pl@ntNet-eko datuak gbif.org-en deskargatuhttps://www.gbif.org/occurrence/download?publishing_org=da86174a-a605-43a4-a5e8-53d484152cd3&taxon_key=3788269
- Pl@ntNet-en datuak gbif.org-en APIanhttps://api.gbif.org/occurrence/search?publishing_org=da86174a-a605-43a4-a5e8-53d484152cd3&taxon_key=3788269
- IUCN Red List of Threatened Specieshttps://apiv3.iucnredlist.org/api/v3/taxonredirect/180077828
- Plant Of the World Onlinehttps://powo.science.kew.org/taxon/urn:lsid:ipni.org:names:785305-1
- International Plant Names Indexhttps://www.ipni.org/n/785305-1
- Wikipediahttps://eu.wikipedia.org/wiki/Talisia_hemidasya (Euskara) https://en.wikipedia.org/wiki/Talisia_hemidasya (English)