Türler
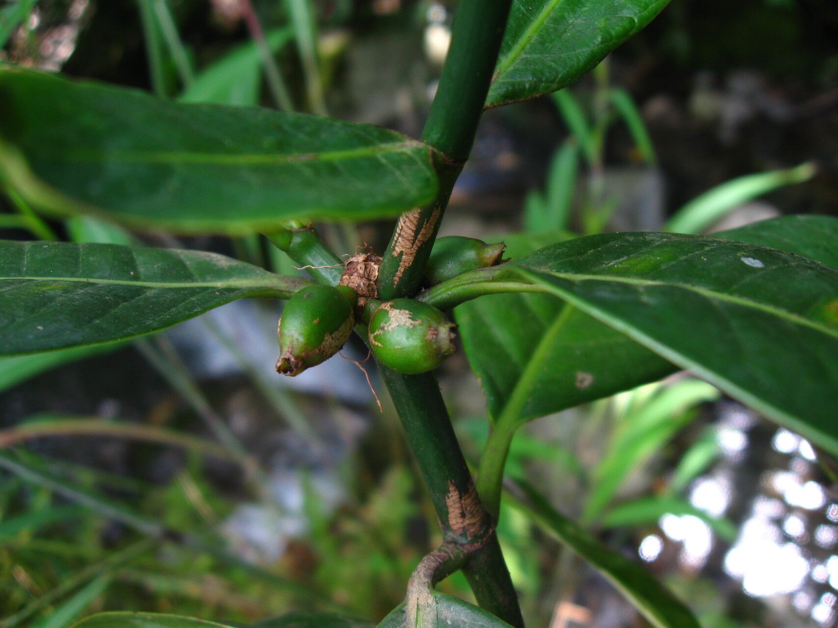
Psychotria psychotrioides (DC.) Roberty Asgari EndişeNüfus eğilimi: Sabit
Asgari Endişe
Nüfus eğilimi: SabitHarita
Fenoloji
Rakım
Trends
Top contributors / Top identifiers
External resources
- Global Biodiversity Information Facility
- https://www.gbif.org/species/2922543
- Pl@ntNet data at gbif.orghttps://www.gbif.org/occurrence/search?publishing_org=da86174a-a605-43a4-a5e8-53d484152cd3&taxon_key=2922543
- Download Pl@ntNet data at gbif.orghttps://www.gbif.org/occurrence/download?publishing_org=da86174a-a605-43a4-a5e8-53d484152cd3&taxon_key=2922543
- Pl@ntNet data at gbif.org APIhttps://api.gbif.org/occurrence/search?publishing_org=da86174a-a605-43a4-a5e8-53d484152cd3&taxon_key=2922543
- Wikipediahttps://tr.wikipedia.org/wiki/Psychotria_psychotrioides (Türkçe) https://en.wikipedia.org/wiki/Psychotria_psychotrioides (English)