Art
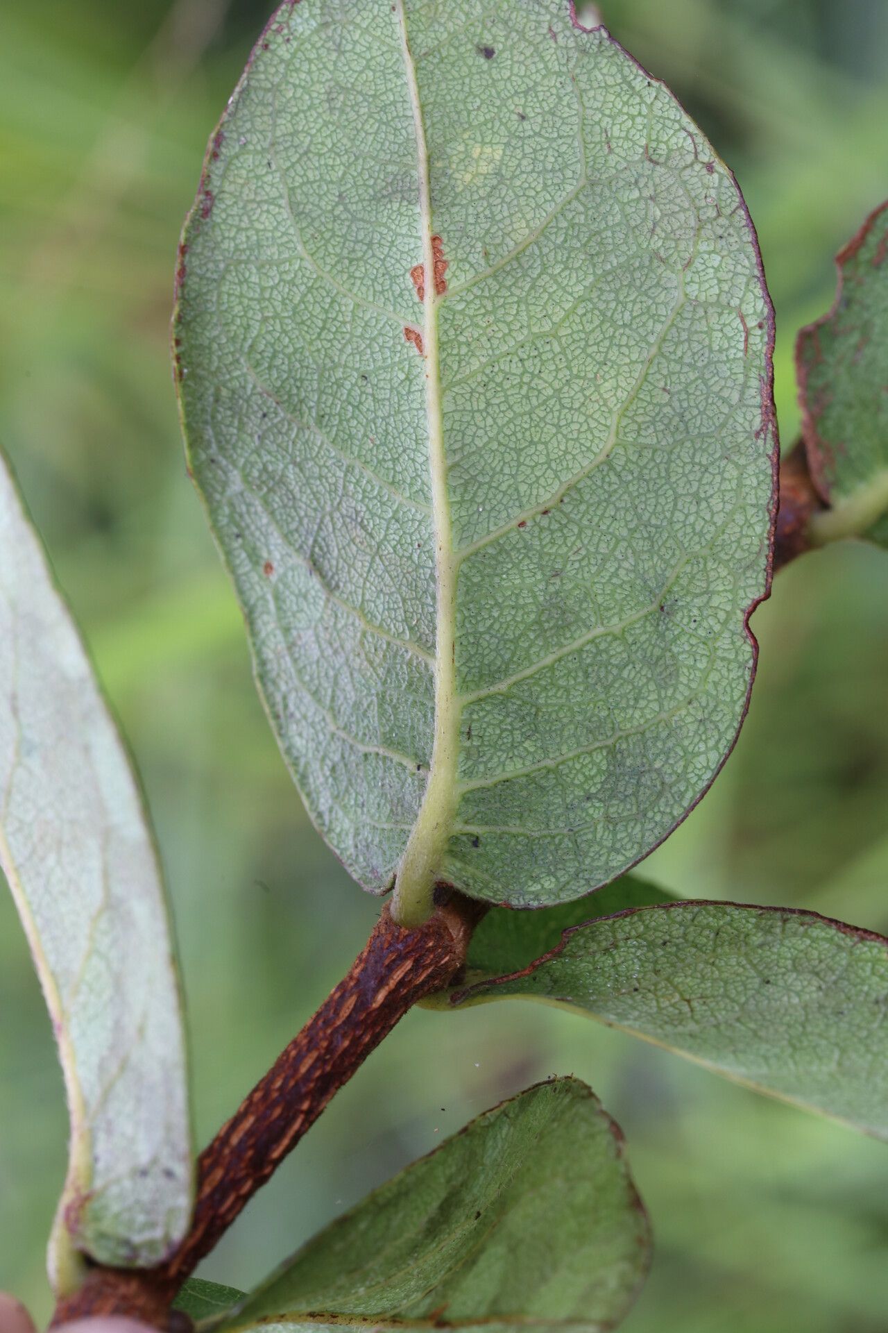
Cassipourea mollis (R.E.Fr.) Alston Nicht gefährdetPopulationsentwicklung: Unbekannt
Nicht gefährdet
Populationsentwicklung: UnbekanntKarte
Phänologie
Höhenlagen
Trends
Top-Beitragende / Top-Pflanzenbestimmer
External resources
- Global Biodiversity Information Facility
- https://www.gbif.org/species/3874051
- Pl@ntNet Daten auf gbif.orghttps://www.gbif.org/occurrence/search?publishing_org=da86174a-a605-43a4-a5e8-53d484152cd3&taxon_key=3874051
- Pl@ntNet Daten von gbif.org herunterladenhttps://www.gbif.org/occurrence/download?publishing_org=da86174a-a605-43a4-a5e8-53d484152cd3&taxon_key=3874051
- Pl@ntNet Daten auf gbif.org APIhttps://api.gbif.org/occurrence/search?publishing_org=da86174a-a605-43a4-a5e8-53d484152cd3&taxon_key=3874051
- IUCN Red List of Threatened Specieshttps://apiv3.iucnredlist.org/api/v3/taxonredirect/135630932
- Plant Of the World Onlinehttps://powo.science.kew.org/taxon/urn:lsid:ipni.org:names:719660-1
- International Plant Names Indexhttps://www.ipni.org/n/719660-1
- Le wiki sur les plantes utiles et les usages des planteshttps://plantuse.plantnet.org/en/Cassipourea_mollishttps://plantuse.plantnet.org/en/Cassipourea_mollis_(PROTA)
- Wikipediahttps://de.wikipedia.org/wiki/Cassipourea_mollis (Deutsch) https://en.wikipedia.org/wiki/Cassipourea_mollis (English)
